シロアリの羽アリの痕跡として、抜け落ちた羽や死骸があるにもかかわらず、動いている姿を見たことがない方も多いのではないでしょうか。
実はシロアリの羽アリには活動時間があり、それ以外の時間に飛んでいる姿を見る可能性は低いです。
本記事では、シロアリの種類別の活動時間を解説します。シロアリの活動時間について正しく理解し、早期発見・予防の一助にしてください。

※1 一部エリア、再発保証が付いている場合のみ。発生箇所と同一の場所、シロアリの種類も同じ場合のみ適用。
※2 対応エリア・加盟店・現場状況などにより記載の通りには対応できない場合があります。
※3 面積が66㎡未満の場合は一律80,000円(税込み)になります。ヤマトシロアリに限ります(カンザイシロアリなど他のシロアリは別途見積り)。
※4 薬剤はタケロックアジェンダを採用します。その他の特殊な薬剤・油剤は別途見積りとなります。
このような方におすすめ
- シロアリの活動時間を詳しく知りたい方
- シロアリの羽アリの活動時間を知りたい方
- シロアリの時間帯別のチェック方法を知りたい方
- シロアリの時間帯別の予防方法を知りたい方
羽アリと働きアリとで活動時間は異なる
シロアリは、羽アリと働きアリで活動時間が異なります。それぞれの違いについて詳しく解説します。
羽アリと働きアリの違い
シロアリは真社会性(しんしゃかいせい)と呼ばれる性質をもちます。真社会性とは、「繁殖する個体」と「繁殖しない個体」が分業し、協力して生活する性質です。
成長の過程で個体ごとに形態が分かれます。繁殖する個体は「羽アリ」、繁殖しない個体は「職蟻(働きアリ)」や「兵蟻(兵アリ)」となります。それぞれが違う目的で活動し、活動時間も異なるのです。

巣全体の90〜95%を占めるのは職アリ(働きアリ)です。主に以下のような役割をもちます。
|
一方、胸のうしろ側に翅芽(しが)という、小さな羽のもとになる穴がある個体は「ニンフ」と呼ばれます。ニンフは、成長すると羽アリ(有翅虫)になる形態です。
羽が生えるまでは、働きアリと同じように幅広い仕事をこなします。羽が生えると、群飛(ぐんぴ)と呼ばれる方法で巣から飛び立ち、新しい巣をつくります。
群飛とは、新しい巣をつくるために羽アリの集団で移動することです。巣がある程度大きくなったり、木材が近くになくなったときに起こります。
羽アリの発生時期
羽アリの群飛のピークは春から夏にかけて、およそ3月〜8月が目安です。

暖かい時期に羽アリをよく見かけることから、シロアリは暖かい時期にのみ活動していると誤解されがちです。しかし、羽アリ以外の形態のシロアリは年中活動していることに注意しましょう。
秋冬は羽アリが群飛をあまりしないため、羽アリを見かけることが減ります。しかし、見えないところで巣づくりや木材侵食は進んでいます。
シロアリの種類別の活動時間
シロアリの活動時間は種類により異なります。
世界には約3000種類以上のシロアリがいて、そのうち建造物に被害を与えるシロアリは104種類です。日本では24種類のシロアリが確認されており、今後も資材などを通じて新種が日本に上陸する可能性もあります。
日本で住宅に被害を及ぼす主なシロアリは以下の4種類です。
|
それぞれの活動時間について解説します。
ヤマトシロアリの活動時間
| 見た目
職アリ(働きアリ) |
![]() |
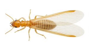
| 見た目
羽アリ |
![]() |
| 分布 | 北海道北部をのぞく、日本全土(北限は北海道名寄市) |
| 体長 | 4.5~7.5mm |
| 羽アリの発生時期・時間 | ・沖縄では2〜3月 ・関東から九州では4月~5月 ・北海道から東北では6月頃 ・午前中 |
| 働きアリの活動時間 | 1日中(猛暑日の昼間、冬日の夜間を除く) |
ヤマトシロアリは、日本国内のシロアリによる住宅被害の90%以上を占める代表的な種類です。
羽アリの群飛は地域ごとに時期に違いがあるものの、時間帯は午前中が多く、夕方から夜にかけては基本的におこなわれません。湿った木材を好むことから、雨が降った翌日の晴れた日など、高湿度かつ気温が安定した条件下で群飛する傾向にあります。
巣の中の働きアリは1日中活動しますが、暑すぎる夏の昼間や寒すぎる冬の夜は活動量が低下します。
ヤマトシロアリは目安として6°Cを越えると活動を始め、12°Cを上回ると活発になり、25°C〜30°Cでピークとなる一方で、35°Cを超えると生存率が低下する性質であるためです。
| 温度 | ヤマトシロアリの活動 |
| 6°C以上 | 活動を始める |
| 12°C以上 | 活動が活発になる |
| 25°C〜30°C | 活動がもっとも活発になる |
| 35°Cを超過 | 生存率が低下する |
高温の環境で生存率が低下する理由は、以下の2点です。
|
共生生物とは、宿主となる生物の体内や体表で一緒に暮らし、栄養の消化吸収などを助ける微生物のことです。
シロアリは消化管の後腸(こうちょう)に木材を分解する共生生物を棲まわせています。共生生物が35°C付近で死滅するため、シロアリが木材を消化吸収できなくなり、生存率の低下につながります。
そのため、極端に高温または低温の環境になると、ヤマトシロアリは活動しやすい場所へ移動します。夏は水回りや日陰など涼しい場所へ、さらに冬は床下や柱の中など住宅内の暖かい場所へ移動して活動を続けることも少なくありません。
活動時間を知ると同時に、暑さ・寒さに応じて活動量が低下することや、活動しやすい環境へ移動することを理解しておきましょう。
こちらもCHECK
-
-
シロアリはいつ発生するの?活動が活発化する時期、羽アリの発生時期を徹底解説
シロアリの被害を防ぐためには、その活動時期を正しく理解することが重要です。シロアリが活発化する前に点検や予防をすることで大切な住宅を守れます。この記事では、シロアリの活動時期と最適な対策タイミング、時 ...
続きを見る
住宅にもたらす被害
ヤマトシロアリは、硬い高密度の木材よりも柔らかい低密度の木材を好んで食べる傾向があります。とくに被害が多いのは、以下の種類の木です。
|
ヤマトシロアリは乾燥に弱く、水を1日接種できないだけで正常に活動できなくなるため、被害のあった部位は湿っているか、水場が近くにある傾向にあります。結露や水漏れによって水が供給される場合、被害は住宅全体に及ぶ可能性もあるでしょう。
以前は風呂場、洗面所、台所などの水回りに集中して被害が発生していました。しかし、近年は個体数の増加に伴い、玄関や住宅の土台周辺の被害率が高まっており、床下に放置された資材に被害が及ぶことも多いです。
日本国内での住宅の被害件数はもっとも多く、全体の90%以上をヤマトシロアリが占めています。
イエシロアリの活動時間
| 見た目
職アリ(働きアリ) |
![]() |
| 見た目
羽アリ |
![]() |
| 分布 | 千葉県以西の海岸線に沿った温暖な地域と小笠原諸島 |
| 体長 | 7.4~9.4mm |
| 羽アリの発生時期・時間 | ・沖縄や小笠原では5 月下旬 ・本州では6月〜7月上旬 ・日没後 |
| 活動時間 | 一日中(猛暑日の昼間、冬日の夜間を除く) |
イエシロアリは西日本を中心に生息する種類です。ヤマトシロアリより侵食のスピードが速く、短期間で被害が大きくなりやすいです。
羽アリの群飛は、沖縄や小笠原では5月下旬、本州では6〜7月の日没後の暗い時間帯に一斉に飛び出す傾向にあります。
ヤマトシロアリとは異なり、イエシロアリの羽アリは雨が降り出しそうな天気や小雨でも群飛をすることがあります。また、光に引き寄せられる性質(走光性)をもち、夜になると街灯や住宅の明かりにたくさん集まることも特徴です。
巣の中の働きアリは一日中活動するものの、ヤマトシロアリ同様、極端な高温や低温の環境では活動が低下します。活動温度域はおよそ9〜38°Cです。30°C〜35°Cでもっとも活発になり、40°Cを超えると後腸の共生生物が死滅して生存率が低下します。
| 温度 | イエシロアリの活動 |
| 9°C以上 | 活動を始める |
| 30°C〜35°C | 活動がもっとも活発になる |
| 40°Cを超過 | 生存率が低下する |
住宅にもたらす被害
ヤマトシロアリと同様に、硬い高密度の木材より、柔らかい低密度の木材を好んで食べる傾向があります。とくに被害が多いのは以下の種類の木です。
|
イエシロアリは巨大な巣をつくり、最大半径100mにも及ぶ範囲で被害をもたらします。数軒の住宅を同時進行で侵食していることもあります。乾燥に弱く、水場の近くに巣をつくることが多いです。
日本国内における被害件数は2番目に多く、全体の7〜8%程度を占めています。
アメリカカンザイシロアリの活動時間
| 見た目
職アリ(働きアリ) |
![]() |
| 見た目
羽アリ |
![]() |
| 分布 | 宮城県仙台市から沖縄本島までの多くの都府県に点在 |
| 体長 | 6~8mm |
| 羽アリの発生時期・時間 | ・東日本では5月頃 ・西日本では10月~11月頃 ・日中〜夕方 |
| 活動時間 | 1日中(低気温時を除く) |
アメリカカンザイシロアリは、乾燥した木材(乾材)のなかに巣をつくる「カンザイシロアリ」の一種です。日本国内での被害件数は多くないものの、木材の内側で活動するため発見が遅れやすく、気づかないうちに被害が進行していることもあります。
羽アリの群飛はヤマトシロアリやイエシロアリより遅い時期におこなわれる傾向があり、関東では5月頃、関西では10月〜11月頃の日中〜夕方に飛び立ちます。
一度に大群で飛び立つことは少なく、数週間〜数か月ごとの短期間で複数回、条件の整った日に同じ巣から少数の羽アリが飛んでいきます。
羽アリ以外のアリたちは木材内部で常に活動しており、外に出ることはほとんどありません。
低温に弱く、冬季は活動が鈍化します。ただし、屋内暖房が効いた環境では、冬でも木材内部で活動を続ける可能性があることに注意しましょう。
住宅にもたらす被害
アメリカカンザイシロアリが生息する範囲は限られており、日本国内での被害件数はダイコクシロアリも含むカンザイシロアリ全体で0.3%程度です。
被害件数が少ない理由として、土の中ではなく木材の中に直接巣をつくるため、外に出て来ず発見されにくいことが挙げられます。
被害場所に関する調査によると、屋根裏の小屋組部材39%、外構部材23%、室内部材20%、床下部材10%、家具3%となっています。
参考
中島正夫(2006).関東支部における蟻害・腐朽を対象とした床下実態調査の概要 しろあり.No.145.27-33.
ダイコクシロアリの活動時間
| 見た目
職アリ(働きアリ) |
![]() |
| 見た目
羽アリ |
![]() |
| 分布 | 奄美大島以南と小笠原諸島 |
| 体長 | 5~6mm |
| 羽アリの発生時期 | 不定期(1年中) |
| 活動時間 | 1日中(低気温時を除く) |
ダイコクシロアリは、アメリカカンザイシロアリと同じ「カンザイシロアリ」の一種で、生態が似ています。
羽アリは一度に大群で飛ぶことは少なく、年間を通して同じ巣から複数回に分けて少数の羽アリが飛び立ちます。羽アリ以外のアリたちは木材内部で活動を続け、外にはほぼ出てきません。
寒さに非常に弱く、奄美大島以南と小笠原諸島にのみ生息しています。気温が下がる冬季には活動が停止し、越冬できずに死滅することもあります。
住宅にもたらす被害
アメリカカンザイシロアリ同様に生息する地域が限られており、日本国内での被害件数はカンザイシロアリ全体で0.3%程度です。発見が難しく、被害として報告されていない可能性もあります。
被害場所も屋根裏の小屋組部材など、アメリカカンザイシロアリと同様に建築物の中でよく被害が見られます。家具類への侵食も多く、ピアノ、ステレオ、机、タンス、鏡台での被害があります。
【時間帯別】シロアリ発生のチェックポイント

シロアリが発生しているかどうかについて、時間帯別にチェックポイントを解説します。
なお、シロアリは気温と湿度が高くなる2月〜11月、特に雨の後や湿気が多い日に活動が活発になります。時間帯だけでなく、季節や天候も合わせてチェックすると発見しやすくなります。
5月から7月の早朝|6~9時

早朝の6〜9時の時間帯は、夜間に活動したイエシロアリの痕跡が残っていることがあります。5月から7月にかけての晴れ〜小雨の夜間に羽アリは飛翔します。
以下の点をチェックしましょう。
|
群飛した羽アリは、着地後に羽を落とすため、羽だけ落ちている場合があります。屋内への出入り口付近に羽や死骸が落ちていないか確認しましょう。
2月から6月の午前中|9~12時
午前中の9〜12時の時間帯は、ヤマトシロアリの羽アリを見つけやすいです。とくに2月から6月にかけて、雨が降った翌日の晴れた午前中に飛ぶ傾向があります。
以下の点をチェックしましょう。
|

5月から7月の夕方・夜間|17~22時
5月から7月にかけて夕方以降の17〜22時の時間帯は、以下の点をチェックしましょう。
|

日没後はイエシロアリの羽アリが飛翔しやすい時間帯です。光に引き寄せられる性質(走光性)により、住宅の灯りに集まることもあります。照明や窓の周辺を確認しましょう。

7月から9月の深夜|22時〜
暑さが厳しい7月から9月の22時以降は、以下の点をチェックしましょう。
|
日中は暑すぎて活動量が落ちるシロアリも、深夜になり暑さがやわらぐと活発に活動します。雨が降った日など、湿度が高い環境ではより活発に活動しやすいです。住宅内では音に注意して確認しましょう。
時間に限らずチェックすべきポイント
シロアリを早期に発見するため、時間帯に限らずチェックすべきポイントを解説します。
住宅の中の木材
住宅内の木材はシロアリの餌として狙われやすいです。木材でできた床や柱に小さな穴や崩れがないかを確認しましょう。

床・畳がきしむ、もしくは沈む感覚はないかにも注意が必要です。
シロアリは、木材のほかに畳の芯に使用されている藁(わら)も好んで食べます。畳を外して「畳の裏側や畳下板に土の塊や汚れがないか」を確認しましょう。

こびりついた土の汚れがあれば、蟻土(ぎど)の可能性があります。
蟻土とは、光や乾燥に弱いシロアリが直射日光を避けるために木材の隙間に詰め込むものです。土とフンや唾液を混ぜ合わせてつくります。
蟻土が見られる場合は、木材の内部が被害にあっており、ほかの場所も侵食されているケースが多いです。

さらに、柱や壁を叩いてみて空洞音がしないかも確認します。
シロアリの被害を受けていない木材は中身が詰まっているため、叩いたときに重い音がします。しかし、被害にあうと内部が空洞になり軽い音がします。
庭にある木製構造物
住宅の中だけでなく、屋外の木材も定期的に確認しましょう。とくに以下は、定期的に状態をチェックすることが重要です。
|
屋外にある木材は、シロアリを引き寄せる原因になりやすいです。また住宅周辺の木材を起点として、住宅に被害が広がる可能性もあります。
切り株や段ボールなど、撤去できるものは早めに撤去し、普段からシロアリ被害のリスクを下げるように心がけましょう。
シロアリの駆除方法
シロアリを発見したら、すばやく駆除することが大切です。早期に駆除することで、住宅への侵入や被害拡大を未然に防げます。
シロアリの駆除方法について詳しく解説します。
群飛時間帯を狙って羽アリを駆除する
シロアリが巣づくりをした後に駆除するのは手間がかかります。被害が広範囲に及んでいる可能性もあるうえ、広がったシロアリや巣をまるごと駆除しなければならないためです。
群飛してきた羽アリの集団をすぐに駆除できれば、巣づくりや住宅への被害を未然に防げます。シロアリを発見した際は、早急に駆除することが大切です。
まずは、ヤマトシロアリの羽アリが飛ぶ午前中と、イエシロアリの羽アリが飛ぶ夕方以降に羽アリの集団が住宅の周りにいないかを確認しましょう。
| 時間帯 | 羽アリが飛翔する種類 |
| 午前中(9~12時) | ヤマトシロアリ |
| 夕方・夜間(17~22時) | イエシロアリ |
とくに床下通風口、木製サッシ、玄関、外灯周りは念入りにチェックします。
ただし、羽アリは一部を駆除できても駆除漏れがあるとそこから巣づくりが始まります。羽アリを見かけた場合は、一度シロアリの駆除業者に無料診断をしてもらいましょう。

羽アリの駆除の仕方
シロアリを発見したときは、羽アリでも働きアリでも、掃除機で吸って駆除する方法がおすすめです。もっとも手軽で素早く駆除できます。
シロアリは、掃除機で吸うと風圧でほぼ確実に絶命します。万が一生き残った場合に備えて、吸い込んだあとは、ゴミ袋の口をしっかりと閉めて捨てましょう。
シロアリや発見場所の周辺に殺虫スプレーを撒くのは避けます。表に出てきた個体のみに効果があり、奥にいるシロアリには届かないためです。
さらに、危険を察知したシロアリが別の場所に移動することで、巣の場所の特定が困難になります。
見つけたシロアリは掃除機で吸い込んで駆除し、専門のシロアリ駆除業者に相談することが安全で確実です。
巣ごと根絶する方法
シロアリの巣がつくられている場合、巣ごと根絶する必要があります。代表的な駆除方法はバリア工法とベイト工法の2種類です。
バリア工法は、住宅の床下にシロアリ駆除・予防のための薬剤を満遍なく散布する施工法です。すでに地中に侵入しているシロアリを駆除すると同時に、新しいシロアリが侵入できない層(バリア)をつくる仕組みです。

こちらもCHECK
-
-
【プロが監修】シロアリ駆除の主流、バリア工法とは?DIYとプロによる施工方法も比較
バリア工法とは、シロアリ駆除・予防方法のなかで、もっとも一般的な施工方法です。 家の床下に専用薬剤を満遍なく散布することで、土中に侵入しているシロアリを駆除すると同時に、新しいシロアリが侵入できない層 ...
続きを見る
ベイト工法とは、地中にベイト剤と呼ばれる毒餌を仕込み、それをシロアリに持ち帰らせることで、巣まるごとの根絶を狙うシロアリ駆除の方法です。
「床下がない」「ペットがいるため薬剤の利用を避けたい」などの理由で、バリア工法が使えない場合によく施工されます。

こちらもCHECK
-
-
【プロが監修】シロアリ駆除にベイト工法はどれくらい効果があるの?DIYとの違いも解説
ベイト工法とはシロアリ駆除・予防のための施工方法の一つです。 薬剤を散布するシロアリ駆除の一般的な方法とは違い、毒餌(ベイト剤)を使うことが大きな特徴です。 本記事では、ベイト工法の仕組み、メリット・ ...
続きを見る
いずれの駆除方法も専門性が高く、素人に効果的な施工は難しいため、シロアリの駆除業者に依頼しましょう。
シロアリによる被害
シロアリを駆除せず放置した場合、住宅に深刻な被害をもたらします。時間が経過するほど住宅の耐久度は低下し、最悪の場合、地震などの災害で倒壊する可能性があります。
シロアリによる主な被害を解説します。
シロアリ被害がもたらす建物の耐久度低下
シロアリによる建物被害は深刻で、侵食を受けた木材の耐久性が明らかに低下します。
建築で使われるサイズの木材を野外でシロアリに侵食させた強度試験では、断面が16%減少したことで、圧縮強度と曲げ強度が約半分にまで低下しました。
見た目でわかる侵食の程度よりも強度低下が激しく、建物全体の耐震性の低下にもつながっています。
実際に、1995年の阪神・淡路大震災では、全壊した建物の多くがシロアリ被害にあっていました。
また2016年の熊本地震でも、倒壊した建物の一部でシロアリ被害の影響が判明しています。
修繕・リフォーム費用がかかる
シロアリによる住宅被害があった場合、建て替えまで至るケースはほぼないものの、被害箇所の補修・補強が必要になり修繕・リフォーム費用がかかります。
費用は被害状況によるものの、以下が相場です。
| 補修場所(1カ所あたり) | 相場 |
| 床下の補強(腐食した木材の交換など) | 20~50万円程度 |
| 柱の補強 | 10~50万円程度 |
| 床材の張り替え | 100〜200万円程度 |
| 柱の交換 | 100~200万円程度 |
| 建物の基礎の補強 | 200万円以上 |
| 屋根や梁の修繕 | 200万円以上 |
シロアリ被害が比較的軽微なうちに駆除や予防をしておくと、大規模な修繕・リフォームを避けられ、全体的な支出を抑えられます。
時間帯別のシロアリ予防

シロアリによる被害を防ぐためには、日頃からシロアリを寄せ付けないための予防をすることが重要です。特に、シロアリは気温と湿度が高くなる春から夏、また雨の後など湿気が増える時期に活動が活発になるため、季節や天候を意識して予防しましょう。
時間帯ごとにシロアリの予防方法を解説します。
2月から6月の午前中|9~12時
2月から6月の午前中は、以下の点を心がけることで予防になります。
|
雨樋や排水溝に落ち葉などがあると、雨が降った際に水が溜まりやすいです。梅雨になる前に水捌けをよくして住宅周りの水分をなるべく残さないことで、水気を好むヤマトシロアリやイエシロアリに狙われにくくなります。
雨や夜露で濡れた場所があれば、水滴を拭き取っておくこともシロアリ予防になります。
ヤマトシロアリは午前中に群飛するため、寄せ付ける要因をつくらないことが大切です。
5月から7月の夕方・夜間|18時〜
5月から7月にかけての夕方・夜間は、以下の点を心がけましょう。
|
イエシロアリは光に集まる性質があるため、窓から漏れる光や外灯に寄ってきて住宅内に侵入するケースがあります。室内灯を控えめにし、外灯は早めに消灯すると安心です。
晴れた日の夕方・夜間に飛翔しやすいため、外が暗くなる時間には窓をなるべく閉め、シロアリ予防を心がけましょう。
時間に限らず予防すべきポイント
シロアリは水分のある場所に寄ってくるため、水気のある環境をつくらないように注意しましょう。具体的な予防ポイントは以下です。
|
屋外にシロアリの餌となる紙や木材を置かないことも大切です。
とくに紙は木材からできており、シロアリが好んで食べます。段ボールや新聞紙を屋外に放置するのは避け、なるべく早く廃棄しましょう。
シロアリ駆除業者に診断・予防措置を依頼する
シロアリ駆除業者は、専門的な知識や長年の駆除経験をもとにシロアリ被害の診断をおこない、最適な駆除方法を診断します。
一般人による被害状況の把握では見落としが発生しやすいです。また床下や天井裏まで確認する場合、病原菌が充満していたり、ネズミやゴキブリなど病気を媒介する生き物と遭遇する危険があります。
まずはプロに相談して無料診断から始め、住宅の被害状況を踏まえた最適な方法による駆除を任せた方が、安全で確実です。
例えばバリア工法を施工すれば、今いるシロアリを駆除できるだけでなく、土の中からやってくる新しいヤマトシロアリやイエシロアリを5年間予防してくれます。
被害にあった場合の修繕・リフォームに必要な費用を考えると、プロに頼むことで全体の費用をより抑えられるケースが多いです。
まとめ
シロアリは時間帯を問わず活動していますが、羽アリは種類ごとに飛翔する活動時間帯の傾向があります。活動時間を考慮して点検・予防に取り組むことで、被害の早期発見や拡大防止に繋がります。
住宅の異変や不安があれば、すぐセルフチェックを実施しましょう。早めに被害を見つけてシロアリ専門の駆除業者へ相談することが、住まいと家族の安心を守る最善策です。
シロアリお助け本舗では、相談や現地調査を無料で受け付けています。少しでも不安があれば、お気軽にご相談ください。

※1 一部エリア、再発保証が付いている場合のみ。発生箇所と同一の場所、シロアリの種類も同じ場合のみ適用。
※2 対応エリア・加盟店・現場状況などにより記載の通りには対応できない場合があります。
※3 面積が66㎡未満の場合は一律80,000円(税込み)になります。ヤマトシロアリに限ります(カンザイシロアリなど他のシロアリは別途見積り)。
※4 薬剤はタケロックアジェンダを採用します。その他の特殊な薬剤・油剤は別途見積りとなります。




-e1759395243480-300x180.png)




